푸들

슬개골관련 질문

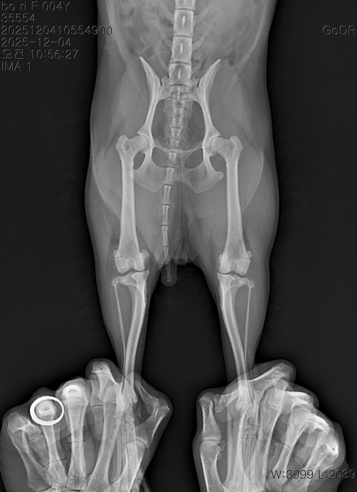
강아지 슬개골탈구 진단 받았습니다 몇군데 병원을 다녀봤는데 진단이 달라 궁금해서 질문 해봅니다 일단 저희 강아지는 오른쪽 다리를 갑자기 들고 다니고 절어 병원을 방문하게 되었고요 왼쪽은 증상이 없지만 오른쪽만 있는 상태였습니다 첫번째랑 두번째 병원에서는 슬개골 탈구 진행중이고 왼쪽이 3기 오른쪽이 2기 정도라고 했습니다 하지만 왼쪽은 아예 빠져있어 증상도 없고 아파하지도 않는다고 했고 오른쪽은 빠졌다 안빠졌다 해서 증상이 있다고 했고 십자인대가 파열된 걸론 보이지 않는다고 했습니다 그래서 양쪽 슬개골탈구 수술만 진행하면 된다고 했고요 근데 세번째 병원에서는 둘다 왼쪽이 좀 더 심한 슬개골 탈구 3기 정도라고 했고 오른쪽만 십자인대 부분파열이 보인다고 했습니다 그래서 십자인대 파열이 아닌 왼쪽은 굳이 수술할 필요가 없고 나중에 십자인대 파열이 오거나 증상이 나타나면 그때 수술하면 된다고 했습니다 그래서 오른쪽 슬개골탈구 수술과 tplo를 하는 방식으로 수술을 한다고 했습니다 여기서 궁금한점은 1. 십자인대 파열이 사진상으론 보이지 않는다고 하는데 사진상으로 알 수 있는 건가요? 2. 십자인대 파열이 아니면 슬개골탈구 수술을 굳이 할 필요 없다고 하셨는데 맞는 건가요? 3. 꼭 슬개골탈구와 십자인대 수술을 같이 해야 결과과 더 좋아지나요? 4. 사진상으로 십자인대와 슬개골 수술을 같이 해야할까요? 5. tplo 수술방법이 가장 안전하고 좋은 수술방법인가요? 6. 슬개골탈구로 인해 십자인대가 끊어지는건 아니라고 들었는데 맞나요? 슬개골 탈구 수술로 십자인대를 예방할 수 있나요?
0
0
답변 0
아직 답변이 없습니다.
커뮤니티 인기글
비마이펫 추천 콘텐츠